Детайли
Тип имот: Парцел Сделка: Продава Населено място: с. Студена Област: Перник Квадратура: 1204 кв.м Цена: 89 000 € - 174 068,87 лв. (73,92 € / m2 - 144,57 лв. / m2 )
Информация Покажи всичко ↓
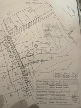
УРЕГУЛИРАН ПОЗЕМЛЕН ИМОТ - 1204кв.м. с разрешение за строеж и с готов проект за еднофамилна къща ! Ток и собствен водоизточник в парцела.
Намира се на тиха и спокойна локация! Само на 35 км. от г.София, не далеч от язовир Студена. С добър достъп до магистрала Струма и същевременно, бърз и лесен достъп до града.
Одобрен проект за самостоятелна къща със следните параметри:
ЗП /жилищна сграда/ 208,10м2
ЗП /навес за паркиране за 2 МПС/ 43,58м2
ЗП /общо/ 251,68м2
Перфектна функционалност на помещенията, за истински комфорт и уют на бъдещите собственици!
Парцелът е в регулация и с разрешение за
Сподели обявата
Други обяви от ИМОТЕКА 



Продава 2-стаен
187 369 €
366 461,91 лв. Цената е с включено ДДС
366 461,91 лв.
68 кв.м
град София, Манастирски ливади

Продава 2-стаен
294 400 €
575 796,35 лв. Цената е с включено ДДС
575 796,35 лв.
92 кв.м
град София, Хладилника

Продава Хотел
720 000 €
1 408 197,60 лв. Не се начислява ДДС
1 408 197,60 лв.
1200 кв.м
с. Голема Раковица, област София
Подобни обяви


![Продава Парцел област Перник , с. Студена , 1204 кв.м | 98503821 - изображение [2] — Imoti.com Продава Парцел област Перник , с. Студена , 1204 кв.м | 98503821 - изображение [2]](http://cdn3.focus.bg/imot/photosimotbg/1/085/med/1r174411067133085_Bq.jpg)


